Tp Hồ Chí Minh / Quận Bình Tân / Phường Bình Trị Đông B

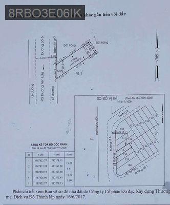
bán nhà mặt tiền đường số 6 - Phường Bình Trị Đông B - Quận Bình Tân

bán nhà mặt tiền đường số 6 - Phường Bình Trị Đông B  -  Quận Bình Tân
Diện tích: 88 (m2)
Vị trí: Phường Bình Trị Đông B - Quận Bình Tân - Tp Hồ Chí Minh
Hướng:

136.36tr/m2

ban nhà mặt tiền đường số 6 bình trị đông b quận Bình Tân


Tìm Kiếm Chuyên Sâu

DT(m2)

Giá (tỷ)

Hướng

[Chọn nhiều hướng]

Bất động sản cùng loại

2025© HomeLand79.Com