Danh sách tìm kiếm (0)
Các tin đã lưu (0)
Đăng Nhập
110.00tr/m2
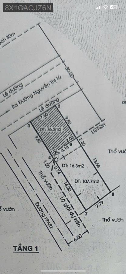
Bán nhà Mt kinh doanh ngay ngã 5 Quách điêu khu trung tâm sầm uất nhất ,víp nhất
Trung tâm buôn bán vàng kim cương ..kinh doanh mọi nghành nghề
Dt:7,6x26m
dt xây dựng 7,6x17m
Giá :22tỉ tl
DT(m2)
Giá (tỷ)
Hướng
Bán nhà TT. Tân Túc
Bán nhà Xã An Phú Tây
Bán nhà Xã Bình Chánh
Bán nhà Xã Bình Hưng
Bán nhà Xã Bình Lợi
Bán nhà Xã Đa Phước
Bán nhà Xã Hưng Long
Bán nhà Xã Lê Minh Xuân
Bán nhà Xã Phạm Văn Hai
Bán nhà Xã Phong Phú
Bán nhà Xã Quy Đức
Bán nhà Xã Tân Kiên
Bán nhà Xã Tân Nhựt
Bán nhà Xã Tân Quý Tây
Bán nhà Xã Vĩnh Lộc A
Bán nhà Xã Vĩnh Lộc B
2025© HomeLand79.Com